PKD – Polykystose Rénale
Insuffisance rénale
PKDef – Déficience en Pyruvate Kinase
Anémie hémolytique
Cardiomyopathie Hypertrophique (HCM-A)
Fiche pratique Vétérinaire : Cardiomyopathie Hypertrophique – Test HCM-A
Origine et Fréquence :
– Insuffisance cardiaque d’origine génétique, autosomique dominante
– Epaississement anormal du muscle cardiaque, en particulier au niveau du ventricule gauche, réduction du volume de la chambre ventriculaire
– Race concernée : Maine Coon
– 1 Maine Coon sur 4 est porteur de la mutation
- Signes cliniques : Souffle cardiaque, arythmies cardiaques, difficultés respiratoires, intolérance à l’exercice, fatigabilité.
- Age d’apparition : entre 4 mois et 15 ans
NB : Grande variabilité d’expression de la maladie, les formes les plus graves de cardiomyopathie hypertrophique conduisent à la mort de l’animal avant l’âge d’un an, les formes les plus légères peuvent s’exprimer après 10 ans.
Le chat va-t-il développer une Cardiomyopathie Hypertrophique ?
|
Résultat du test ADN |
Explication | Le chat va-t-il développer une Cardiomyopathie Hypertrophique? | Transmission à la descendance |
| Homozygote normal (sain) | Deux allèles normaux du gène MYBPC |
non |
Ne transmet pas la mutation |
| Hétérozygote (atteint) | Un allèle normal et un allèle muté du gène MYBPC |
oui |
Transmet la mutation à 50% de sa descendance |
| Homozygote muté (atteint) | Deux allèles mutés du gène MYBPC | oui |
Transmet la mutation à 100% de sa descendance |
Pourquoi réaliser un test HCM-A ?
- Conseiller vos clients et adapter une prise en charge de l’animal en identifiant la maladie.
- Conseiller vos éleveurs sur leur travail de sélection pour éviter de propager la maladie dans la race.
- Confirmer ou infirmer un diagnostic de Cardiomyopathie Hypertrophique.
NB : Le test HCM-A ne permet pas de prévoir l’âge d’apparition des symptômes ni le degré de gravité de la maladie.
SMA – Atrophie Musculaire Spinale
Faiblesse musculaire
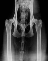
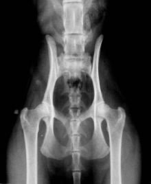
Dysplasie de la hanche (HD)
|
Radiographie d’une chat avec des hanches normales
|
|
|
- Quand on entend parler de dysplasie des hanches et de radiographies, la plupart du temps il s’agit de chiens. Mais ce problème existe aussi couramment chez le chat. La dysplasie des hanches est une malformation héréditaire de l’articulation de la hanche (du pelvis) lorsqu’elle n’est pas assez profonde. A cause de cela, l’os ne se place pas comme il faut dans l’articulation, et un frottement des deux s’ensuit, ainsi qu’une dégénérescence du cartilage. Peu à peu le cartilage disparaît, laissant une surface articulaire d’os à os qui provoque des douleurs. Le corps ne peut produire du cartilage, et tente de se défendre en produisant encore plus de matière osseuse, ce qui ne fait qu’aggraver le problème.
- Les chats en général ne montrent pas leur souffrance, et peuvent souffrir de dysplasie des hanches sans boiter du tout. En revanche, ils bougent alors avec plus de précautions, ou bougent moins qu’un chat indemne; ils peuvent aussi éviter de sauter. Des chats avec une dysplasie légère peuvent ne pas souffrir du tout.
- Depuis janvier 2000, le Swedish Maine Coon Club garde un registre de radios des hanches. On recommande de tester tout chat reproducteur avant de l’utiliser dans un programme d’élevage afin de minimiser les problèmes de dysplasie dans la race. Ce registre est officiel et son but est de définir la fréquence de la dyplasie de la hanche chez le Maine Coon. Le Swedish Maine Coon Club travaille en collaboration avec le docteur en médecine vétérinaire Lars Audell qui est le spécialiste en ce domaine en Suède. Il envoie les radios évaluées et les résultats des tests au Swedish Maine Coon Club, où ils sont enregistrés et rendus publics 60 jours après que le propriétaire a pris connaissance des résultats. La copie originale des radios et des résultats est renvoyée au propriétaire du chat dès que le Club a reçu le paiement.
- D’autres races que le Maine Coon sont les bienvenues pour se joindre à cette étude.
Comme la dysplasie de la hanche n’est pas seulement trouvée chez la race Maine Coon, il peut être utile aux éleveurs d’autres races de savoir qu’eux aussi ont la possibilité de rejoindre ce programme. Ce problème apparaît plus au moins chez toutes les races. Une fois qu’il y aura eu un nombre suffisant d’évaluations effectuées, il sera possible aux éleveurs d’avoir des conseils d’élevage propres à leur race. Le registre pour les autres races sera tenu par la même personne que celui du Maine Coon, et la procédure sera identique pour l’instant.
Recommandations pour tester et élever des Maine Coon
Le protocole d’évaluation est comme suit:
- Normal: Bonnes hanches, pas d’anomalies
- Borderline: structure pas tout à fait parfaite mais pas de dysplasie prononcée
- Grade 1: la forme la plus légère de dysplasie
- Grade 2: dysplasie moyenne
- Grade 3: dysplasie sévère
Des généticiens nous ont conseillé de ne pas sélectionner une trop petite population de chats reproducteurs au début de notre étude. Il n’est pas avisé d’exclure complètement tous les chats avec un signe de dysplasie des hanches d’un programme d’élevage. Aussi, nous recommandons aujourd’hui de ne pas automatiquement écarter de l’élevage des chats avec un résultat de test « niveau 1 » sur l’échelle utilisée en Suède, mais de ne croiser ces chats qu’avec des individus ne montrant aucun signe de dysplasie (résultat «normal »).
La dysplasie des hanches chez le chat est une malformation héréditaire due à un ensemble de gènes. Deux chats avec aucun signe de dysplasie peuvent produire un sujet qui développe une dysplasie des hanches. Deux chats atteints de dysplasie peuvent aussi produire des chatons ne montrant aucun signe. Aussi, devrait-on tester une population de reproducteurs à chaque génération pour minimiser le risque du développement de la dysplasie des hanches.
Les résultats et statistiques de l’étude sont publiés régulièrement.
Voici quelques exemples du registre de 2012:
¦-----------------------------¦-----------------------------¦-----------------------------¦ ¦ ¦ Sujets descendant de parents¦ Sujets descendant de 2 ¦ ¦ Chats testés: 2988 ¦ non testés (dont on ne ¦ parents testés et ¦ ¦ ¦ connaît pas l'historique): ¦ avec un résultat normal: ¦ ¦-----------------------------¦-----------------------------¦-----------------------------¦ ¦ Résultat normal:1902 (63.7%)¦ Résultat normal: 650 (58.9%)¦ Résultat normal: 454 (76.0%)¦ ¦ Résultat limite: 127 (4.3%)¦ Résultat limite: 43 (3.9%)¦ Résultat limite: 22 (3.7%)¦ ¦ Niveau 1: 571 (19.1%)¦ Niveau 1: 221 (20.0%)¦ Niveau 1: 82 (13.7%)¦ ¦ Niveau 2: 295 (9.9%)¦ Niveau 2: 139 (12.6%)¦ Niveau 2: 32 (5.4%)¦ ¦ Niveau 3: 93 (3.1%)¦ Niveau 3: 50 (4.5%)¦ Niveau 3: 7 (1.2%)¦ ¦-----------------------------¦-----------------------------¦-----------------------------¦
Le nombre de chats testés pour HD et les résultats disponibles en ce moment sont assez réduits mais sont néanmoins promettant. Les statistiques démontrent clairement que les parents à hanches normales produisent en général aussi des descendants à hanches normales, plus que ceux de parents dont l’état des hanches est inconnu.
Qu’est ce que le FCK?
Le terme vétérinaire approprié est ‘Pectus Excavatum’.
Le fond de la cage thoracique s’aplatit et parfois se creuse. En général, dans les cas extrêmes, le chaton commencera à hyper ventiler et à suffoquer puis mourra si on ne le l’aide pas. Parfois, le creux ne provoque pas de difficultés respiratoires et le chaton peut survivre. Néanmoins, une fois que la cage thoracique se creuse vers l’intérieur, il y a danger que les poumons soient endommagés; ainsi certains chatons qui semblent aller bien au début finissent-ils par mourir. L’autopsie permet alors de mettre en évidence des tissus pulmonaires anormaux.
Pour en venir aux côtes plates proprement dites du syndrome FCK, les muscles situés entre les côtes (muscles intercostaux) et les muscles du diaphragme n’arrivent pas à se contracter et à se relâcher correctement, ce qui réduit le volume de la cavité pulmonaire. Les poumons ne sont plus en mesure de fonctionner normalement. Moins d’oxygène parvient aux muscles, ce qui explique pourquoi le chaton essaye d’en obtenir davantage en respirant plus rapidement; il semble essoufflé.
Comment puis-je savoir si mon chaton a le syndrome FCK?
Par une observation attentive, on peut distinguer le moment où la cage thoracique commence à s’aplatir. Cela survient 2 à 10 jours après la naissance et en touchant délicatement les côtes avec les doigts, vous pourrez souvent détecter le problème (aplatissement) avant de pouvoir réellement le voir. Il s’agit alors d’une sorte de crête qui parcourt toute la longueur des côtés de la cage thoracique. Il est très difficile de mettre en mots ce qu’on peut ressentir en touchant des côtes plates mais si vous prenez une banane pas trop mûre (oui, une banane), vous pourrez mieux vous rendre compte de ce à quoi on peut s’attendre en touchant des côtes plates.

Une banane pas trop mûre.
J’ai coupé la banane ci-dessus en deux afin que vous puissiez voir la forme en coupe transversale. Tenez la banane avec la partie la plus plate vers le bas (habituellement c’est la partie intérieure de la courbe). Tenez-la comme illustré avec l’image, puis levez la main. Vous verrez que la peau externe de la banane possède deux crêtes distinctes en bas, sur les côtés, et que la partie basse est plus plate que les côtés et le dessus. C’est précisément ce à quoi ressemble une cage thoracique légèrement plate (même au niveau de la taille); il vous faut seulement y ajouter les poils.
Il se peut que vous sentiez une très légère arête le long de la cage thoracique de certains chatons qui ne développeront pourtant pas forcément le syndrome FCK. Aussi ne paniquez pas!
Normalement, les côtes plates sont tout simplement cela…plates. Mais si les muscles du diaphragme sont sévèrement atteints, ils vont exercer une pression sur le sternum qui va se déformer – c’est-à-dire que le sternum va être poussé dans la cavité pulmonaire, ce qui va à son tour entraîner une déformation du cœur et empêcher les poumons de se développer normalement. Lorsque cela se produit, il est rare que le chaton survive.
Il existe également un autre état (qui n’a rien à voir avec le syndrome FCK) dans lequel le sternum devient bombé, et bien que cela n’ait pas d’implications sur la santé, c’est considéré comme une anomalie vétérinaire.

Chaton avec le SDCP
Le chaton ci-dessus a un sternum inversé – vous pouvez clairement voir qu’il s’infléchit vers l’intérieur au lieu de s’infléchir vers l’extérieur.
Ce chaton était le seul avec le syndrome FCK dans une portée par ailleurs en bonne santé. Il perdait du poids et était littéralement en train de mourir, jusqu’à ce qu’il reçoive un supplément de nourriture avec KLM. C’est maintenant un chaton heureux, en bonne santé, bien que son sternum ne soit pas revenu à la normale. Il est toutefois plus petit que ses frères et sœurs.
Il existe divers degrés de côtes plates, parfois dans une même portée. Beaucoup de chatons avec de légères côtes plates passent inaperçus et se rétablissent tout seuls. Plusieurs causes ont été mises en évidence dans le développement de cet état: le Cat Club du Burmese a financé un programme de recherche sur une déficience en Taurine, et bien qu’il n’y ait eu qu’un très petit groupe d’étude avec lequel travailler, il a été conclu que cela n’avait pas de rapport. D’autres théories ont suggéré une déficience en Potassium, mais des traitements avec des suppléments de Potassium, comme il avait été préconisé par le Collège Vétérinaire de Bristol, n’ont pas eu de résultats probants pour traiter cet état; de plus des analyses de sang n’ont pas montré de carence. Il n’y a pas eu d’études sérieuses effectuées ou réalisées sur le long terme sur le syndrome FCK, et c’est pour cette raison que je rassemble des données pour le futur, de sorte que lorsqu’une étude sera menée, un échantillon assez important de portées pourra être étudié afin d’obtenir davantage d’information.
Quelles sont les races affectées?
Absolument toutes les races de chats peuvent produire des chatons avec le syndrome FCK, y compris les chats de gouttière. Quoiqu’il en soit, certaines races, en particulier celles qui ont un patrimoine génétique limité, semblent y être plus sujettes, ou peut-être que leurs éleveurs sont plus disposés à en parler. Les races qui semblent figurer le plus souvent dans les communications que j’ai reçues sont le Burmese et le Ragdoll, et pas seulement en Grande-Bretagne mais dans tous les pays.
Est-ce que mes chatons vont mourir?
Il y a deux étapes cruciales chez les chatons qui ont le syndrome FCK : si les chatons survivent au tout début de la maladie; il se peut qu’ils s’en sortent, mais les éleveurs ont vu des chatons apparemment bien portant mourir brutalement à l’âge de 10 jours, et d’autres grandir normalement jusqu’à l’âge de 3 semaines pour, de la même façon, s’affaiblir par la suite et mourir. Si les chatons survivent au delà de 3 semaines, alors il est plus que probable qu’ils ne mourront pas du syndrome FCK. La cage thoracique peut revenir à la normale si la maladie n’est pas trop sévère, ou elle peut rester plate jusqu’à l’âge adulte et ce sans effets secondaires notables.
Qu’est ce que je peux faire?
Vous pouvez aider : lisez bien ce qui suit…
Depuis que j’ai mis ces informations sur Internet, j’ai reçu d’innombrables demandes de la part d’éleveurs qui ont eu des chatons présentant cet état. Je crains de ne pas avoir de réponses parfaites, mais je peux transmettre tous les retours que j’ai pu recevoir concernant les résultats et les causes possibles. C’est vraiment quelque chose de très triste à vivre; nous voulons tous que nos bébés soient parfaits aussi lorsque les choses tournent mal, cela nous fend le cœur. Pour la plupart d’entre nous, ce qu’il y a de pire lorsqu’un chaton tombe malade, c’est de ne rien pouvoir faire d’autre que de rester assis à l’observer. Certains vétérinaires pensent que cet état est dû à une carence en vitamines, et le supplément vitaminé le plus couramment utilisé pour les chatons est Abidec. Il s’agit d’un supplément vitaminé sous forme liquide destiné aux bébés et très jeunes enfants, et que l’on peut trouver dans n’importe quelle pharmacie (malheureusement cela a très mauvais goût). En cas de doute, demandez l’avis de votre vétérinaire. Rappelez-vous que ces chatons sont toujours très jeunes et très petits, ce qui rend très difficile tout traitement. Une seule goutte d’Abidec par chaton est nécessaire, aussi faites attention à ne pas leur en administrer trop, au risque de les faire étouffer.

A table!!
Ce que tout le monde a conseillé, c’est de donner un complément de nourriture aux chatons malades avec un lait pour chaton de très grande qualité, et ce même s’ils semblent avoir ce qu’il faut en tétant leur mère. Cimicat ne semble pas très efficace du fait qu’il n’est pas très riche, et le seul produit que je peux vous conseiller (en Grande-Bretagne) est KMR, qui est un lait de substitution merveilleusement crémeux et riche. Ce lait a sauvé la vie de bien des chatons qui ne se développaient pas bien avec Cimicat, qu’ils aient le syndrome des côtes plates ou pas. Je ne sais pas trop où vous pourrez vous en procurer en dehors de Grande-Bretagne car peu de gens semblent en avoir déjà entendu parler, en dépit du fait que ce soit un produit merveilleux. En Grande-Bretagne, le fournisseur est KRUUSE UK Ltd, dont les coordonnées téléphoniques sont: 00**(0)1977681523. Ils ont toujours été très serviables et ils vous enverront la poudre le jour même s’ils sont en mesure de le faire. Hélas ce n’est pas donné!
L’autre alternative est le lait déshydraté (le nom de la marque est Carnation en Grande-Bretagne) que l’on dilue avec de l’eau (environ 1 dose de Carnation pour 3 d’eau) et auquel on ajoute un œuf cru battu (tant que vous êtes sûr que votre œuf est exempt de Salmonelle). C’est très nutritif, à défaut de pouvoir vous procurer du lait KMR. Je donnerais souvent des biberons afin de m’assurer que le chaton est suffisamment bien nourri, d’autant plus que nous ignorons si un apport nutritionnel insuffisant, lié à une tétine qui ne fonctionne pas bien, ne pourrait pas être un facteur causatif. De plus, les efforts que fera le chaton pour vous résister (au début) et pour téter à la seringue vont également aider au développement de ses poumons.
Quoiqu’il en soit, je suis en mesure de rapporter que fin 2004 et début 2005 deux éleveurs ayant des chatons atteints ont réussi à influer sur les symptômes physiques de la maladie (la cage thoracique aplatie). Ces éleveurs ont tous deux essayé de fabriquer un corset pour cage thoracique à l’aide d’un rouleau de papier toilette vide et découpé sur mesure. Ce corset improvisé a été enroulé étroitement autour du corps de l’animal et maintenu en place afin d’exercer une pression sur les côtés de la cage thoracique et de repousser les parties aplaties vers l’extérieur.
Il y a deux mises en garde dont il faut tenir compte: si la cage thoracique commence à se creuser, alors exercer une pression sur les côtés pourrait amener le sternum à s’infléchir vers l’intérieur au lieu de l’extérieur, ce qui pourrait tuer le chaton. Avant toute chose, assurez-vous que le sternum aille dans la direction souhaitée (l’extérieur) une fois compressé, en le pressant doucement une première fois avec les doigts. Deuxièmement, soyez patient et doux _ resserrez progressivement le corset, par étapes, sinon vous pourriez blesser le chaton ou lui briser les côtes en forçant. Un éleveur de Maine-Coon a eu un chaton présentant des difficultés respiratoires mais dès qu’il lui a mis le corset, le chaton a pu à nouveau respirer normalement. J’attends toujours des nouvelles de ce petit pour savoir s’il a survécu et j’espère bientôt obtenir plus de détails. Une autre éleveuse américaine m’a également dit qu’elle avait essayé cette méthode et que ça semblait fonctionner. J’espère obtenir tôt ou tard des photos.
S’il s’avère que c’est une solution pratique et efficace, on pourrait sauver beaucoup de vies. Mais gardez à l’esprit que quelquefois le syndrome FCK peut avoir pour origine un développement des poumons ou du cœur insuffisant; ainsi même si la cage thoracique revient à la normale, il se peut que cela ne règle pas le problème sous-jacent et que le chaton meure quand même. Cette méthode est néanmoins bien plus prometteuse que les autres que j’ai suggérées étant donné qu’elle procure un soulagement immédiat au chaton présentant des difficultés respiratoires. Et nous savons que parfois les dommages internes sont provoqués par le syndrome des côtes plates et non l’inverse. Aussi s’il vous plaît faites-moi savoir si vous essayez cette méthode et dites-moi les résultats obtenus. Dans les deux cas qui ont été portés à ma connaissance jusqu’ici, il s’agissait d’un seul chaton FCK dans la portée. Il serait intéressant de savoir ce que vaut cette méthode lorsqu’elle est appliquée à toute une portée de chatons à côtes plates, vu que dans ces cas-là l’état a tendance a être plus sévère.
Certains vétérinaires recommandent aussi de faire bouger davantage les chatons à côtes plates en les plaçant loin de leur mère, de sorte qu’ils aient à fournir plus d’efforts pour atteindre les tétines et soient encouragés à crier davantage, mais sans non plus les stresser inutilement. L’idée derrière cette méthode est de renforcer les muscles de l’appareil respiratoire, ce qui pourrait amener la cage thoracique à retrouver une position normale. Je ne sais pas du tout si ça fonctionne ou pas!
Hill’s A/D – Avertissement
Un certain nombre d’éleveurs ont récemment rencontré des problèmes avec des vétérinaires qui essayaient de nourrir des chatons immatures en difficulté avec le régime Hills a/d dilué. A/d est très bien pour les adultes convalescents et les chatons plus âgés mais il ne convient absolument pas à de très jeunes sujets. Une éleveuse a dû se battre avec son vétérinaire et insister lourdement pour qu’ils utilisent uniquement du lait en poudre spécial chaton lorsque qu’il a fallu nourrir au biberon un chaton malade âgé de moins de 2 semaines, alors que le vétérinaire voulait lui donner de l’a/d. J’ai récemment entendu parler de deux éleveurs dont les chatons sont morts, suite à une constipation, après avoir été nourris avec de l’a/d lorsqu’ils avaient 2 semaines. Les bons laits en poudre pour chatons sont spécialement conçus pour satisfaire les besoins nutritionnels d’un chaton et KMR en particulier est idéal pour les chatons affaiblis et malades. Un très jeune chaton qui ne se développe pas bien peut avoir des problèmes digestifs et possède très certainement un appareil digestif immature. Hill’s a/d est une nourriture à base de viande hyper-protéinée aussi le simple bon sens devrait nous permettre de nous rendre compte que cela ne peut convenir à un appareil digestif immature.
Pourquoi c’est arrivé?
Beaucoup de personnes vous donneront des causes de FCK peu plausibles (comme le fait que ce sont les chattes qui dorment sur les coussins chauffants pendant leur grossesse qui produisent des chatons FCK), alors que toutes ces théories ont été invalidées. Il est possible qu’un mariage susceptible de produire le syndrome FCK voie les chances que cela se réalise accrues à cause de facteurs extérieurs, mais il semble évident que certains chats produiront à coup sûr des chatons à côtes plates tandis que d’autres non, à moins qu’ils ne soient mariés avec un autre chat qui a déjà produit du FCK. Malheureusement, la piste de la transmission génétique n’est pas claire; on ne peut pas dire qu’un chat est porteur ou non porteur. Nous savons que cet état est d’origine génétique, mais la transmission semble être polygénique, ce qui la rend bien plus difficile à localiser.
Le syndrome FCK apparaît plus dans certaines lignées que dans d’autres, et certains mâles ou femelles sont bien connus pour produire cet état aussi essayez, si vous le pouvez, de les éviter dans vos lignées. Cependant tous les reproducteurs dans toutes les races en ont virtuellement produit à un moment ou à un autre (en raison du nombre de portées qu’ils engendrent). C’est donc inévitable, et abandonner TOUTES les lignées qui ont produit le syndrome FCK serait incroyablement dommageable pour n’importe quelle race car cela réduirait bien trop le patrimoine génétique. Il semblerait que ce soit ou bien le mâle, ou bien la femelle, voire les deux, qui porterait les gènes responsables du FCK; mais pour que le problème se manifeste dans une portée, cela peut dépendre de combinaisons entre l’environnement (si la femelle est en bonne santé et produit beaucoup de lait ou non) et d’autres facteurs. Ce qu’il faut essentiellement éviter c’est d’avoir dans vos pedigrees un chat connu pour être porteur avéré du FCK, mais également de retrouver trop souvent les mêmes chats dans les pedigrees. Le syndrome FCK apparaît bien plus souvent dans les lignées consanguines.
Malheureusement, certains propriétaires de mâles reproducteurs continuent à utiliser des chats qui ont eu des portées entières de chatons FCK. J’ai personnellement connu un propriétaire de mâle d’élevage qui affirmait catégoriquement que son chat n’en avait jamais produit pour plus tard m’apercevoir, après la naissance de mes chatons, qu’il avait eu de ce mâle deux portées entièrement atteintes et le savait. J’ai parlé avec la propriétaire de la femelle qui avait eu ces chatons, aussi il ne s’agit en aucun cas de commérages. Ce mâle reproducteur est encore maintenant couramment utilisé car c’est un Grand Champion au Royaume Uni. Par chance, tous mes chatons se sont avérés en excellente santé, mais je savais qu’ils avaient une chance sur deux d’être porteurs de FCK, c’est pourquoi j’ai fait le choix de ne pas garder de chaton pour continuer cette lignée. J’ai été des plus chagrinées de la perdre, surtout que ce mariage « test » involontaire a prouvé que ma lignée était exempte de FCK. Malheureusement je n’ai pas pu remarier ma minette pour pouvoir garder une de ses filles et il a fallu la faire stériliser. Inutile de dire que je n’ai jamais été aussi en colère de ma vie!
Il semblerait qu’il faille un nombre très important de marqueurs pour que cet état survienne. Si un chat possède un grand nombre de ces marqueurs, alors la plupart de ses rejetons présenteront des côtes plates. Si ce chat est marié à un autre chat ayant des marqueurs à un niveau élevé, alors tous les chatons de la portée seront « plats ». Un seul chaton FCK tendrait à suggérer qu’un des parents porterait un nombre significatif de marqueurs _ nombre réduit par une absence relative de marqueurs chez l’autre parent.
Les conditions environnementales de la mère peuvent influer sur le syndrome FCK: toute situation défavorable pendant la gestation (y compris une carence alimentaire) peut amener une chatte à être davantage sujette à produire des chatons FCK si elle possède un petit nombre de marqueurs, tandis qu’un meilleur environnement pourrait empêcher l’état de se développer. Si vous n’avez qu’un seul chaton à côtes plates dans une portée, il se peut que les causes soient plus environnementales que génétiques (voir le paragraphe suivant), et peut-être qu’utiliser un mâle différent s’avérera plus sûr. Il semble que ce soit rare d’avoir toute une portée de chatons FCK qui sont si affectés qu’ils en meurent, à moins que les deux parents ne soient porteurs de cette affection génétique à haut degré; il serait alors préférable d’abandonner cette lignée. La présence de chatons FCK uniques dans une portée, bien qu’indicatrice d’un risque dans les lignées, ne devrait pas poser de problème majeur et il se peut qu’un seul des parents soit en cause, en supposant qu’il n’y ait pas de facteur environnemental. Beaucoup d’éleveurs préfèrent éviter, s’ils le peuvent, toute occurrence du syndrome FCK dans les lignées qu’ils utilisent, même si cela peut limiter considérablement le patrimoine génétique de leurs chats; mais parfois un chaton FCK va apparaître dans une lignée qu’on pensait saine. Chaque éleveur doit peser le pour et le contre entre le risque d’avoir des chatons FCK et celui de réduire dangereusement le patrimoine génétique, et je ne me permettrais pas de critiquer les décisions prises par chacun.
Il peut y avoir des causes physiques à l’apparition du syndrome FCK et qui n’ont rien à voir avec la génétique et les lignées: par exemple, si une chatte tombe malade pendant la gestation, ou doit recevoir un traitement antibiotique, ou si la chatte fait, pendant sa grossesse, une chute et qu’un fœtus a pu être heurté. Egalement si un chaton reçoit moins de lait de qualité que les autres. Il arrive qu’une femelle ait une tétine qui produit moins que les autres, aussi le chaton qui boit à cette tétine peut devenir « plat » suite à une carence en vitamines ou à un déficit alimentaire. Il arrive quelquefois que dans les très grandes portées le plus petit chaton soit « plat », bien que j’aie eu des portées de 8 sans problème aucun (et avec une mère qui se couche sur les radiateurs durant toute la gestation sans avoir un seul petit chaton plat); aussi je ne suis pas certaine que ce soit une cause de FCK légitime. Certains cherchent toutes les excuses possibles pour affirmer que cela ne vient pas de leurs lignées, en particulier si les chats qu’ils élèvent sont de très bonne qualité exposition ou s’ils sont très attachés à leurs lignées pour des raisons autres. Tout ce que vous pouvez faire, si vous cherchez un mâle ou une femelle de reproduction, c’est de poser la question à l’éleveur. Le syndrome FCK ne peut être provoqué par une chatte qui dort sur un radiateur ou toute autre surface chaude pendant la gestation. J’ai eu au fil des ans 8 femelles Siamoises, Burmeses et Tonkinoises qui ont passé toutes leurs grossesses (avec des mâles différents) étalées de tout leur long sur les radiateurs ou assises en haut d’un fourneau AGA et jamais je n’ai eu un seul chaton avec les côtes plates. Des études vétérinaires ont maintenant complètement EXCLU comme motif de FCK les siestes sur les surfaces chaudes, bien qu’à l’origine, lorsque le syndrome a été identifié, il avait été suggéré que cela pouvait être une cause.
Comment puis-je éviter ou empêcher ce syndrome de se produire?
Tout d’abord, soyez francs. Ce n’est pas quelque chose que vous avez causé et cela ne signifie en aucun cas que vous êtes un mauvais éleveur, aussi vous n’avez pas à en avoir honte. C’est seulement en en parlant ouvertement qu’on en apprendra plus et qu’on pourra éviter que les lignées produisant régulièrement des chatons FCK ne créent des dommages dans les lignées saines. Je connais malheureusement plusieurs éleveurs qui persistent à proposer des saillies de leurs mâles alors que lesdits mâles produisent immanquablement des chatons FCK, tout comme leurs rejetons. Ce n’est pas parce qu’un chat est très beau et est un grand gagnant d’exposition qu’il ou elle possède les gènes requis pour reproduire.
Malheureusement nous n’en savons pas suffisamment pour prévenir totalement ce syndrome ou le soigner avec succès à chaque fois: les cas les plus sévères où le chaton commence à respirer avec difficulté ont peu de chance de pouvoir être soignés et le chaton meurt en général. Les cas les moins atteints arrivent souvent à se rétablir tout seuls; parfois la cage thoracique reste légèrement aplatie et d’autres fois elle redevient normale. Dans les deux cas, vous ne devez pas utiliser ces chatons en élevage et il n’est pas conseillé de faire reproduire leurs frères et sœurs dans le cas où il y aurait une cause génétique. Je ne conseillerais pas de refaire le mariage qui a produit un chaton FCK, juste au cas où la combinaison de ces deux lignées serait en cause. Peut-être qu’un autre mâle produirait un chaton outcross plus sûr.
Les principales choses à faire pour tenter de prévenir l’apparition du syndrome FCK sont:
- éviter d’utiliser des antibiotiques – quels qu’ils soient ou des traitements médicamenteux pendant la gestation ou la lactation.
- éviter de faire des mariages consanguins.
- utiliser des chattes produisant suffisamment de lait (si vous ne pouvez pas, biberonnez, même en cas de production de lait).
- éviter les lignées connues pour produire des chatons FCK mais méfiez-vous: tous les éleveurs ne disent pas la vérité.
- fournir une alimentation riche pendant la gestation et la lactation: une nourriture abondante, fraîche et de bonne qualité doit être en permanence mise à la disposition de la femelle. La viande fraîche, comme le lapin, constitue une source alimentaire idéale.
Si vous lisez ceci parce que vous avez une portée de chatons avec le syndrome des côtes plates, je vous souhaite bonne chance et j’espère que vos chatons survivront. Cela nous fend le cœur de voir ces bébés mourir, et toutes les personnes qui ont été confrontées à ce problème vous offriraient leur soutien pour y faire face. Malheureusement presque tous ceux qui élèvent depuis un certain temps ont fait l’expérience de ce syndrome et si ce n’est pas votre cas, vous avez eu de la chance.
Si vous avez des renseignements qui pourraient venir compléter les miens (y compris des questions supplémentaires auxquelles je pourrais répondre), si vous pouvez faire part de votre expérience ou partager vos pensées à propos de ce qui est écrit ci-dessus, ou communiquer des adresses de fournisseurs de KMR autres qu’en Grande-Bretagne, alors s’il vous plaît contactez-moi. J’espère que ce site fournira suffisamment de renseignements pour que tôt ou tard nous ayons tous une meilleure compréhension de ce syndrome FCK et de la façon dont nous pouvons y faire face, mais cela ne sera possible que si je reçois suffisamment de retours de la part des éleveurs confrontés au problème. Toutes les communications reçues seront traitées avec la plus grande confidentialité. Merci.
© 2005 Julia Craig-McFeely. Cet article a tout d’abord été publié sur: http://www.craigmcfeely.force9.co.uk/Rameses/fck.html et a été reproduit avec l’autorisation de l’auteur.
